ΕΠΙΣΤΗΜΗ
-
Nov- 2020 -17 NovemberΕΠΙΣΤΗΜΗ
Η Μαδαγασκάρη μια μέρα θα χωριστεί σε τρία κομμάτια
Ήταν πριν από περίπου 200 εκατομμύρια χρόνια όταν η υπερήπειρος της Παγγαίας άρχισε να σπάει σε κομμάτια και να δίνει τη θέση της στις ηπείρους που γνωρίζουμε σήμερα. Η ίδια διαδικασία συνεχίζεται όμω...
Read More » -
17 NovemberΕΠΙΣΤΗΜΗ
Το μέλλον των έξυπνων πόλεων και της αυτοκίνησης βρίσκεται στην Ουγγαρία
Στην κομητεία Zala, της Ουγγαρίας, μια μικρή πόλη με το δύσκολο όνομα Zalaegerszeg (Ζαλαέγκερσεγκ), έχει γίνει τα τελευταία χρόνια ο χώρος υλοποίησης ενός πολύ φιλόδοξου τεχνολογικού σχεδίου. ΔΙΑΒΑΣΤΕ...
Read More » -
17 NovemberΕΠΙΣΤΗΜΗ
Απίστευτο: Ατρόμητος σκύλος την "πέφτει" σε καρχαρία
Ο Τζακ Στράικλαντ κολυμπούσε στο Haggerstone Island Resort στο θαλάσσιο πάρκο Great Barrier Reef και απολάμβανε τη γαλαζοπράσινη θάλασσα. Ξαφνικά από το πουθενά ένας τεράστιος καρχαρίας εμφανίσθηκε στ...
Read More » -
17 NovemberΕΠΙΣΤΗΜΗ
Πέντε ελληνικά παγκάκια που αξίζει να ξαποστάσεις
Το ελληνικό τοπίο χαρακτηρίζεται από πολλούς ως μοναδικό, επειδή καταφέρνει και συνδυάζει τα πάντα: Ορεινούς όγκους, θάλασσες και παραλίες, ποτάμια και λίμνες, παραδοσιακούς οικισμούς και γραφικά χωρι...
Read More » -
17 NovemberΕΠΙΣΤΗΜΗ
Το 2019 η χρονιά με τις περισσότερες φυσικές καταστροφές λόγω κλίματος
Το 2019 καταγράφηκαν 308 φυσικές καταστροφές, το 77% των οποίων αφορούσε το κλίμα, σύμφωνα με την ετήσια Έκθεση για τις Καταστροφές στον Κόσμο (World Disasters Report) του 2020, η οποία δημοσιεύθηκε α...
Read More » -
17 NovemberΕΠΙΣΤΗΜΗ
Ξέφυγε από το θάνατο! Ζωντανό χέλι τρυπάει τον λαιμό πουλιού και βγαίνει από μέσα (βίντεο)
Ένα χέλι τρυπά τον λαιμό ενός ερωδιού εν πτήσει, για να ξεφύγει τον θάνατο.Το παράξενο περιστατικό συνέβη στον ουρανό πάνω από το Μέριλαντ στις ΗΠΑ. Ένας ερωδιός είχε καταπιεί ένα χέλι και πετά μακριά...
Read More » -
17 NovemberΕΠΙΣΤΗΜΗ
Lamborghini… υποβρύχιο! Πέρασε από πλημμυρισμένο δρόμο (βίντεο)
Τα όρια της Lamborghini Huracan τέσταρε οδηγός της, όχι ως προς την ταχύτητά της, αλλά ως προς την ικανότητά της να κινηθεί κάτω από το νερό!Όταν έφτασε σε έναν δρόμο που είχε πλημμυρίσει από νερά στη...
Read More » -
17 NovemberΕΠΙΣΤΗΜΗ
Twitter: Διόρισε διάσημο χάκερ ως επικεφαλής κυβερνοασφάλειας
Το Twitter, ευρισκόμενο υπό αυξανόμενη πίεση λόγω ολοένα σοβαρότερων παραβιάσεων του σε θέματα ασφάλειας, ανέθεσε σε έναν από τους διασημότερους χάκερ του κόσμου τη θέση του υπεύθυνου κυβερνοασφάλειας...
Read More » -
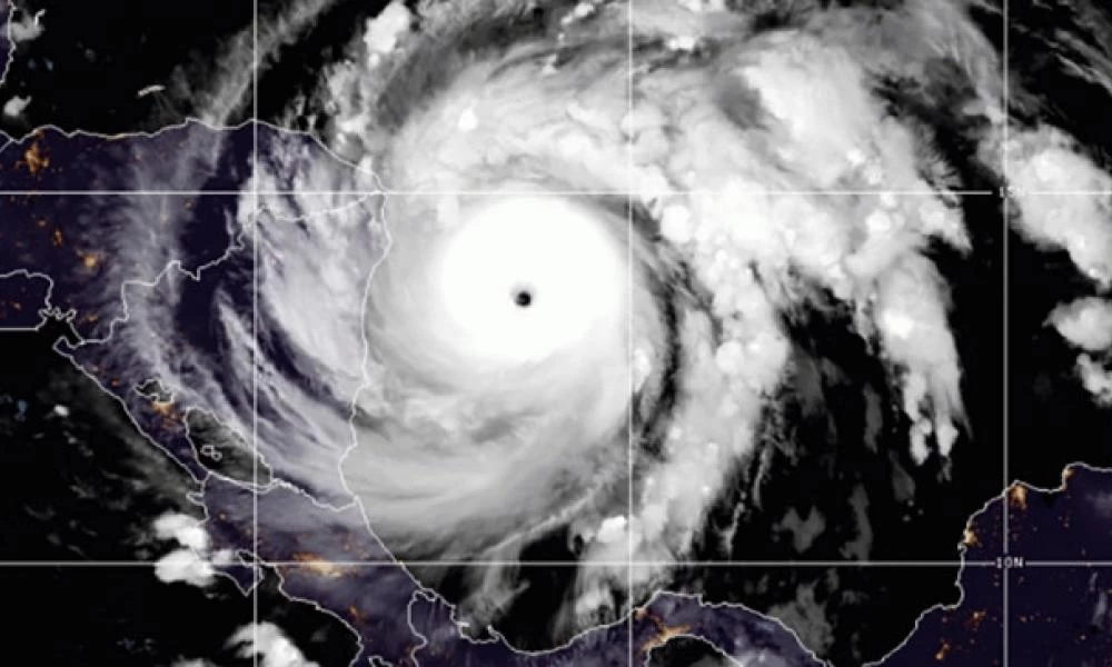
17 NovemberΕΠΙΣΤΗΜΗ
Ο κυκλώνας Γιώτα βρίσκεται στο μέγιστο της καταστροφικής του ισχύος-Ποιες χώρες απειλεί (βίντεο)
Ο κυκλώνας Γιώτα, στο απόγειο της καταστροφικής του δύναμης, έφθασε πάνω από το έδαφος λίγο πριν από τις 19:00 χθες Δευτέρα (τοπική ώρα· σήμερα στις 03:00 ώρα Ελλάδας) στην κεντρική Αμερική, στο βόρει...
Read More » -
17 NovemberΕΠΙΣΤΗΜΗ
Στον Διεθνή Διαστημικό Σταθμό το Crew Dragon της SpaceX μετά από 27,5 ώρες (βίντεο)
Την Κυριακή, η SpaceX , του Ίλον Μασκ, έγινε η πρώτη ιδιωτική εταιρεία που έστειλε ανθρώπους στον Διεθνή Διαστημικό Σταθμό.Η εκτόξευση του επανδρωμένου σκάφους Crew-1 Dragon «Resilience» της αμερικανι...
Read More »